- Full Planning Permission
- Good size South backing Plot
- Popular residential location
- Of interest to local builders
Situated in this popular residential area and within easy walking distance of three railway stations and Southend on Sea town centre is this Consented residential Building Plot.
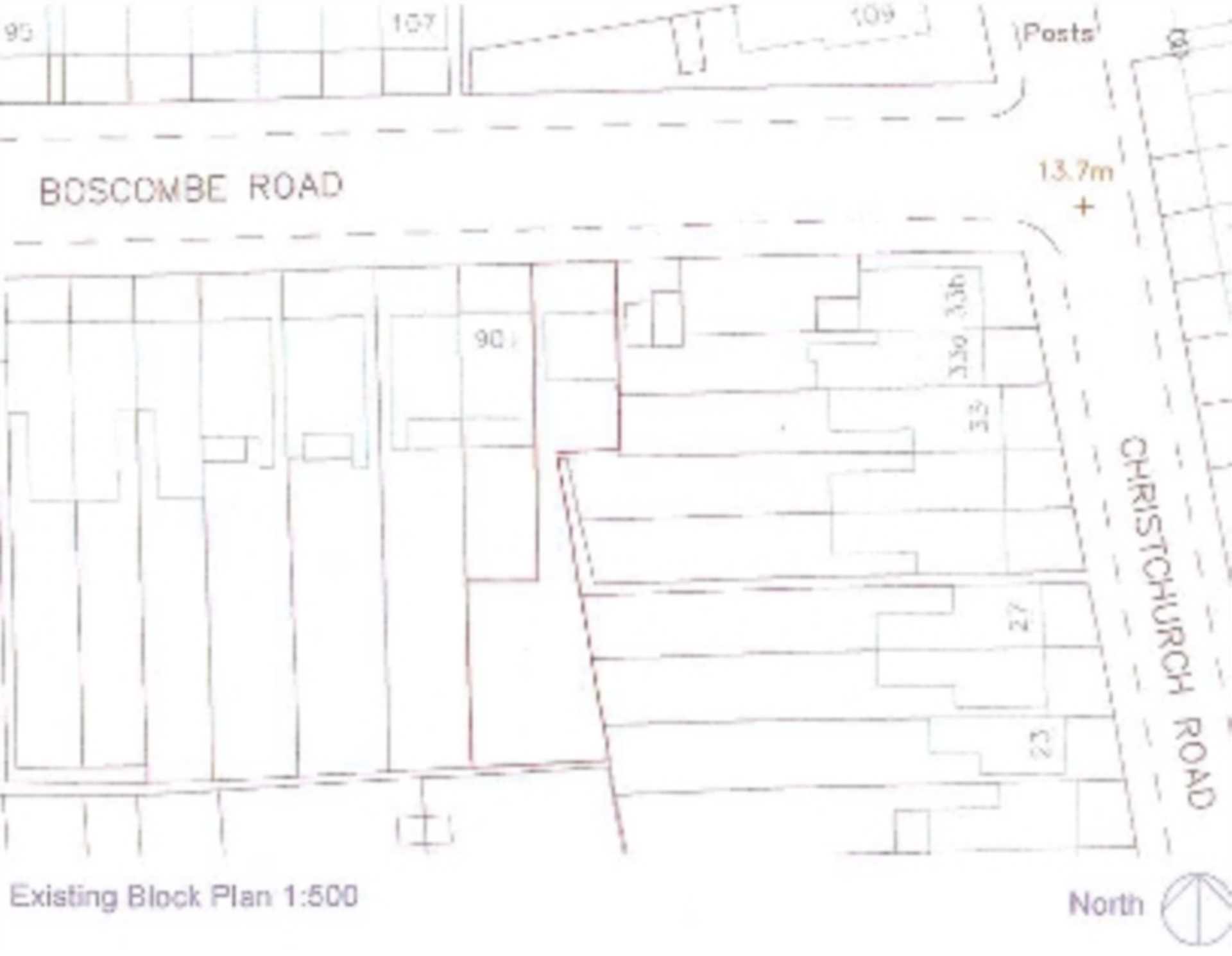
The land is of irregular shape and in two distinct parts. The front section which will accommodate the new house is currently occupied by a pair of garages. The large rear section will provide an unusually large and private south facing garden.
The Site
The irregular shaped site backs south and has a frontage to Boscombe Road of approximately 6.5m (21'4") which is currently occupied by a pair of brick built garages having parking to the front. The remainder of the site is garden land and overgrown.
Town Planning
Full Planning Consent was Granted by Southend on Sea Borough Council under Reference 16/00580/FUL dated 15th June 2016 for the demolition of the existing garage, erect dwellinghouse with associated parking and amenity space.
Our clients believe that it would be possible to obtain an improved Consent by providing a second bedroom within the loft space. Purchasers should satisfy themselves on all matters.
Proposed Development
The proposed detached house will offer two storey accommodation extending to around 66 sq m (710 sq ft) comprising entrance hall, open plan living space/kitchen and cloakroom to the ground floor with bedroom, dressing room and bathroom.
One car parking space to the front of the house, a breakfast garden immediately to the rear pf the house and the main garden within the rear section of the plot.
Further Planning Potential
Our Vendor Client believes that the current Consent could possibly be improved by an application to provide a second bedroom within the loft space.
Viewing
By arrangement with the auctioneers on 01702 333399
Notice
Please note we have not tested any apparatus, fixtures, fittings, or services. Interested parties must undertake their own investigation into the working order of these items. All measurements are approximate and photographs provided for guidance only.
Bright logic Estates
| Utility |
Supply Type |
| Electric |
Unknown |
| Gas |
Unknown |
| Water |
Unknown |
| Sewerage |
Unknown |
| Broadband |
Unknown |
| Telephone |
Unknown |
| Other Items |
Description |
| Heating |
Not Specified |
| Garden/Outside Space |
No |
| Parking |
No |
| Garage |
No |
| Broadband Coverage |
Highest Available Download Speed |
Highest Available Upload Speed |
| Standard |
18 Mbps |
1 Mbps |
| Superfast |
104 Mbps |
20 Mbps |
| Ultrafast |
1800 Mbps |
220 Mbps |
| Mobile Coverage |
Indoor Voice |
Indoor Data |
Outdoor Voice |
Outdoor Data |
| EE |
Likely |
Likely |
Enhanced |
Enhanced |
| Three |
Likely |
Likely |
Enhanced |
Enhanced |
| O2 |
Likely |
Likely |
Enhanced |
Enhanced |
| Vodafone |
Likely |
Likely |
Enhanced |
Enhanced |
Broadband and Mobile coverage information supplied by Ofcom.